News
Will Hurricane Irma Hit The Caribbean?
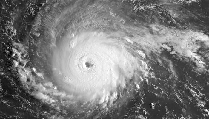
On Tuesday, the National Hurricane Center upgraded Hurricane Irma to a Category 5, the strongest wind speed rating with sustained maximum winds in excess of 150 mph. According to NBC News, winds within Hurricane Irma have actually been measured in excess of 180 mph. Even though less than 24 hours ago, the storm's track faced more uncertainty, will Hurricane Irma hit the Caribbean? As of Tuesday morning, the Caribbean is all but expected to face the full wrath of Irma's devastating wind and rain, according to the National Hurricane Center.
As of 11 a.m. Eastern, Puerto Rico is officially under a hurricane warning, and is joined by 12 other Caribbean islands, as well as both the U.S. and British Virgin Islands. Hurricane Irma could impact Puerto Rico as early as Wednesday afternoon, but official landfall predictions still remain uncertain, given that the storm is still continuing to intensify as it churns across the Atlantic Ocean. Just based on the number of Caribbean islands within the hurricane warning itself, Hurricane Irma could affect as many as 41 million people combined.
While the National Hurricane Center noted that slight fluctuations in intensity could occur over the next 48 hours, Irma is expected to remain a powerful hurricane that could cause massive damage.
Even though not officially under any kind of hurricane watch or warning, Florida could be impacted by Hurricane Irma, but without more solid forecast models, there is no exact guarantee if Florida will hit. Regardless, south Florida residents have been stocking up on supplies and making preparations after Gov. Rick Scott declared a state of emergency in advance of the storm. On Twitter, Scott urged residents not to leave emergency preparedness to chance, especially given the devastation seen in Houston, Texas following Hurricane Harvey's meteorological assault on east Texas last week.
Puerto Rico has also declared a state of emergency, with Gov. Ricardo Rosselló activating the National Guard on Monday. One of the most critical issues facing the U.S. territory is that Puerto Rico's electrical infrastructure could be rendered inoperable for as much as six months if it takes a direct hit from Hurricane Irma, according to the director of the island's sole power company. With a population of more than 3.5 million residents, Puerto Ricans stripped bare the shelves of local stores of supplies of food, water, batteries, and generators.
As the Caribbean hunkers down for what is sure to be a weather catastrophe of colossal scale, residents on the U.S. mainland continue to watch, prepare, and hope that they might be spared some of Hurricane Irma's wrath.
